El huracán Melissa avanza hacia Jamaica con vientos "catastróficos" de más de 174 millas por hora
Se espera que hoy también comiencen condiciones de tormenta tropical en el este de Cuba

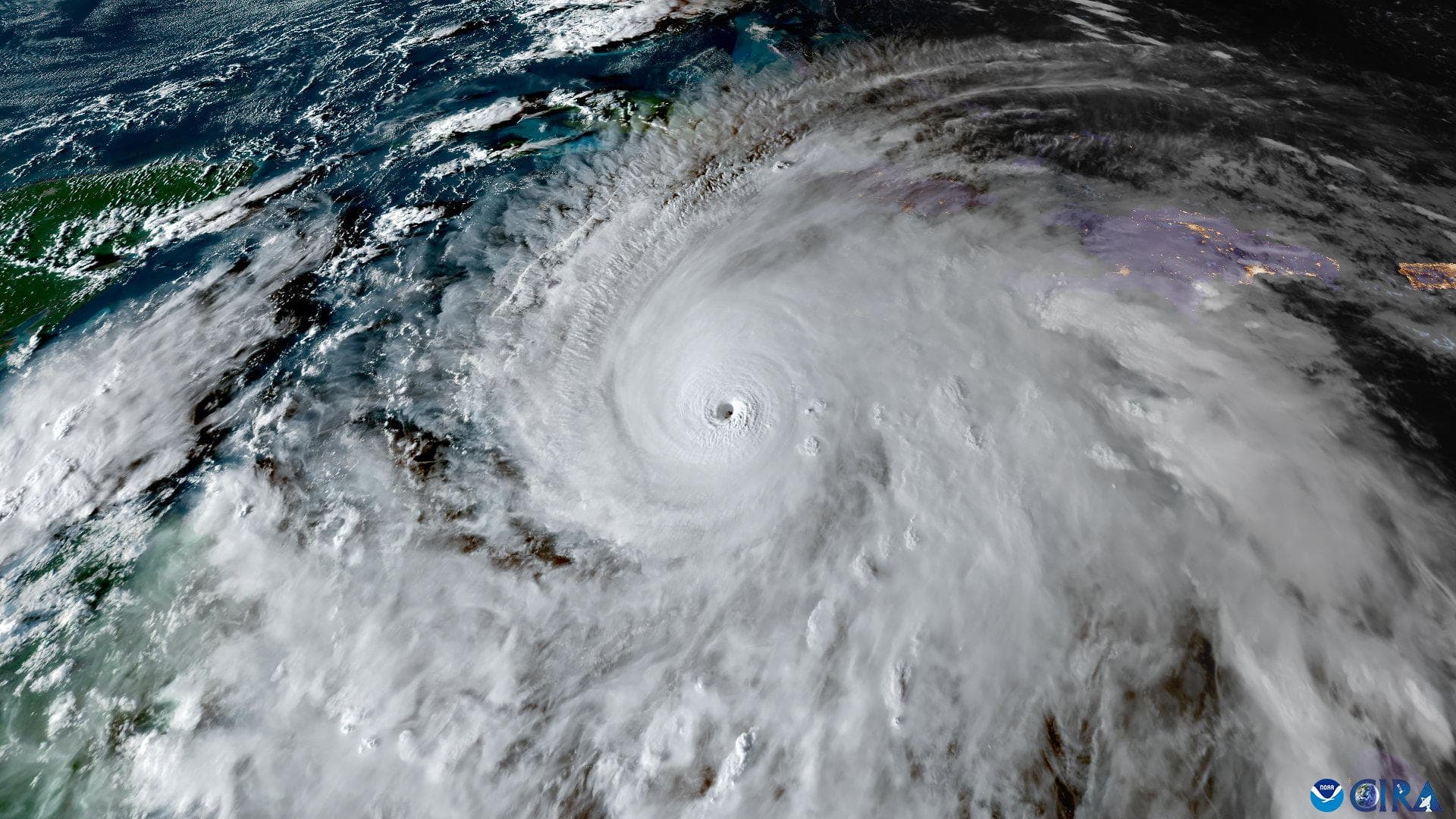
Vista del huracán Melissa, que se encuentra a unos 215 kilómetros al sureste de Kingston, la capital de Jamaica, y a 500 kilómetros al suroeste de Guantánamo, con vientos máximos sostenidos muy fuertes de 280 kilómetros por hora, según el último informe del Centro Nacional de Huracanes (NHC) de Estados Unidos a las 06:00 GMT. En su trayectoria prevista, el centro de Melissa impactará directamente sobre Jamaica hoy, con vientos catastróficos y que amenazan la vida, inundaciones y marejada; se desplazará por el sureste de Cuba el miércoles por la mañana y continuará hacia el sur y centro de Bahamas durante la jornada del miércoles. Imagen: CIRA

El huracán Melissa se encuentra a unos 215 kilómetros al sureste de Kingston, la capital de Jamaica, y a 500 kilómetros al suroeste de Guantánamo, con vientos máximos sostenidos muy fuertes de 174 millas por hora, según el último informe del Centro Nacional de Huracanes (NHC) de Estados Unidos.
En su trayectoria prevista, el centro de Melissa impactará directamente sobre Jamaica hoy, con vientos catastróficos y que amenazan la vida, inundaciones y marejada; se desplazará por el sureste de Cuba el miércoles por la mañana y continuará hacia el sur y centro de Bahamas durante la jornada del miércoles.
Actualmente, los vientos máximos sostenidos de Melissa alcanzan 174 millas por hora con rachas aún más intensas, manteniéndose como un huracán mayor de categoría 5 en la escala Saffir-Simpson. Aunque se esperan fluctuaciones en su intensidad, el NHC insiste en que el ciclón tocará tierra con fuerza devastadora, capaz de causar daños estructurales totales en zonas expuestas y elevadas.
El huracán ya está dejando sentir su impacto: el Aeropuerto Internacional Norman Manley, en Kingston, ha registrado vientos sostenidos de 65 km/h y rachas de 83 km/h.
Además del viento, las precipitaciones ocasionadas por el huracán serán torrenciales, lo que podría ocasionar inundaciones repentinas "potencialmente catastróficas" y deslizamientos de tierra a gran escala.
Se espera que hoy comiencen condiciones de tormenta tropical en el este de Cuba y condiciones de huracán en áreas bajo aviso desde esta noche, hasta la mañana del miércoles.
También se prevén condiciones de tormenta tropical en Haití en la jornada de hoy y del miércoles y para mañana se esperan condiciones de huracán en el sureste y centro de Bahamas.
Además del viento, las precipitaciones ocasionadas por el huracán serán torrenciales, lo que podría ocasionar inundaciones repentinas "potencialmente catastróficas" y deslizamientos de tierra a gran escala.






